Snow Removal – The season is approaching!
Please review the information below for snow removal services for Riverdale Dunes Metro District:
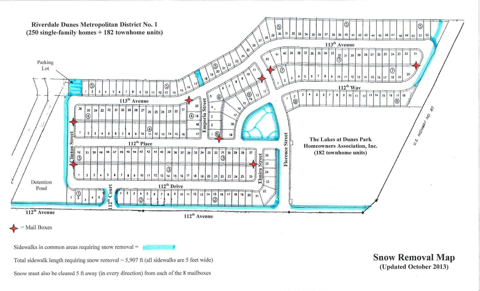
Snow removal is a “Post Storm” service. This means that snow removal will start after the storm has passed. The district threshold for snow removal services is 2 inches of snowfall.
If there is 2+ inches of snowfall, Riverdale Dunes Metro District clears common area sidewalks, and trails. Please see below to review the District snow removal map.

Owners are responsible for clearing snow from the sidewalk in front of and adjacent to the home within 24 hours of the completion of the storm.
Commerce City clears snow on the public roads. Please click here to review the city's snow removal policy.
Please remember the inherent risks associated with winter weather in Colorado. Exercise caution when walking outside during icy or snowy conditions.
Please reach out to info@riverdaledunesmd.live with any questions or concerns.